出航時間

5:30集合、6:00出船(4月1日~9月30日まで)

6:00集合、6:30出船(10月1日~3月31日まで)

筏からのフカセ釣り ダンゴ釣り かかり釣りが楽しめます。 

釣果報告!!

2025年9月28日 日曜日

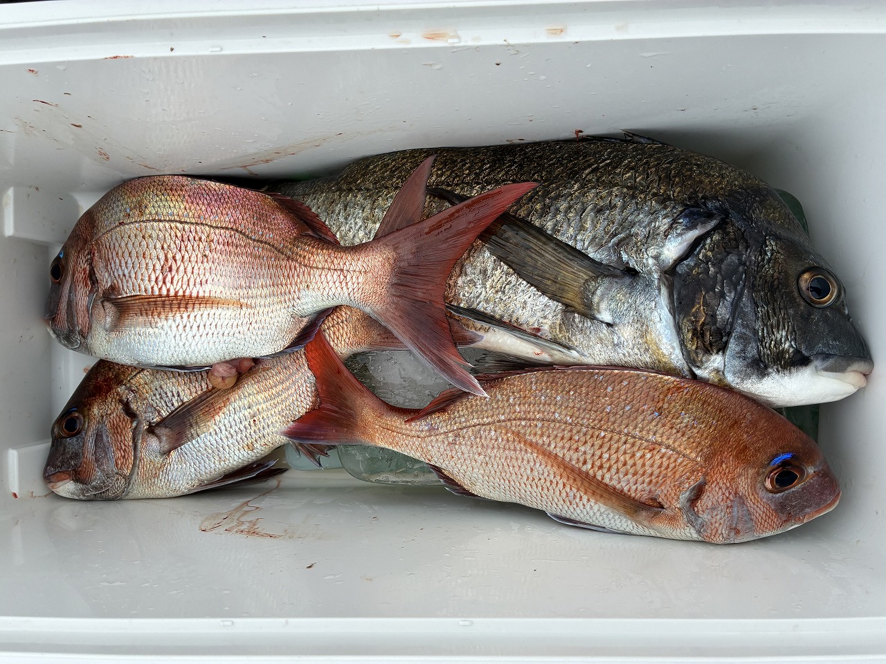
s-PXL_20250928_051719771s-PXL_20250928_051752290s-1759054242168s-1759054292703釣果報告!!

湾内筏フカセ釣りに、チヌ、マダイが釣れています!!

湾内波止カワハギ釣りに、一人5~6枚釣れていました!!

日によってムラはありますが釣果は上向きそうです!!

ご予約、ご連絡をお待ちしております!!

広島湾の牡蛎筏でのチヌフカセ釣りなら さくら渡船にお任せください。 お問い合わせ・ご予約 080-4291-0888 お問い合わせは、夜間21:00までとさせていただきます。